Gewerbefläche 1 / Pölzöd - 1/Pölzöd

Wegscheid , Lkr. Passau

Grunddaten

Größe der unbebauten Fläche21.093 m²
Größe der Fläche mit Baurecht21.093 m²
Bebauungsplan Nr. / NameGE Pölzöd
Bebauungsplan Statusrechtskräftig
Grundflächen­zahl (GRZ)1,8
Geschoßflächen­zahl (GFZ)0,8
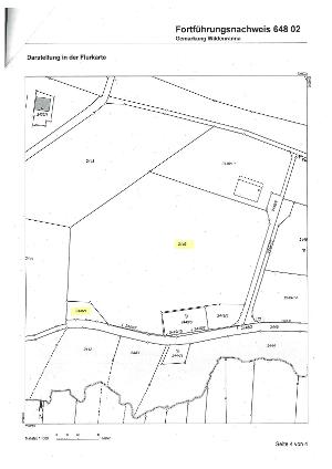
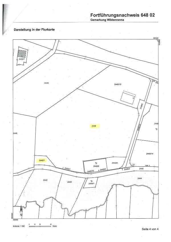
Flurnummern2449 und 2445/1
Gebäudehöhe14 m
Erschließungteilweise erschlossen
Ausweisung Nach Bau NVOGewerbegebiet (GE) Erläuterungen
Baurechtliche Verfügbarkeitkurzfristig verfügbar
Erwerbkurzfristig verfügbar
Eigentümerprivat
Derzeitige NutzungLand- oder Fortwirtschaftlich
Beschreibung / besondere MerkmaleBei Interesse: Kontaktaufnahme mit Arndt Steffen Müller, Firma uvex, a.mueller@uvex.de
Linkhttps://www.wegscheid.de

Verkehr

Verkehrsanbindung
Bundesstrasse 388 Pölzöd     1 km
Verkehrsinfrastruktur
Flughafen München 182 km

Infrastruktur

Gleisanschluss nein