Lager-, Logistik- und Produktionshallen mit Büroanbau
Untersiemau , Lkr. Coburg
Grunddaten
| Art des Objektes | Hallenfläche / Produktion |
| Lage | Die vollerschlossene Gewerbehalle befindet sich am Ortsrand des Ortsteils Birkach der Gemeinde Untersiemau mit guter Anbindung an die Stadt Coburg und die Bundesstraße 289 und somit in 10-minütiger Fahrzeit zur A 73. Verkehrsanbindung: Autobahnauffahrt A73 Entfernung 3km Bundesstraße B4 Entfernung 3km Ortsmitte Coburg Entefernung 12km |
| Nutzfläche | 2.733 m² |
| Vergabeart | Verkauf oder Vermietung |
| Verfügbar ab | 01.12.2026 |
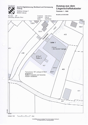
| Beschreibung / besondere Merkmale | Großzügige Produktions- und Lagerhallen sowie ein Bürogebäude mit darunterliegenden, großen Garagen ab demnächst zum Kauf zur Verfügung. Halle 1 Die Produktionshalle verfügt über Druckluftversorgung sowie Starkstromanschlüsse und Heizung. Des Weiteren Damen- und Herrntolietten sowie einen Pausenraum mit Kleinküche. Außerdem verfügt die Halle über Späne-Absauganlagen. 1 Verladerampe sowie 2 Tore (1 Tor 6m breit, 1 Tor 2,5m breit). Bürogebäude mit 54 m² und 2 darunterliegenden Garagen mit insgesamt 46 m². Dei Tore sind 3,5m breit udn 2,5m hoch. Verfügbare Fläche ca. 1721 m² zzgl. Garage mit 46 m². Halle 2 Diese Produktions- bzw. Lagerhalle verfügt über Druckluftversorgung, Starkstromanschlüsse, Heizung sowie eine Verladerampe und ein Tor (2,5 m breit). Inklusive Damen- und Herentoiletten). Verfügbare Fläche 673 m². Halle 3 Lagerhalle mit 5 elektrischen Rolltoren (Breite 6m, Höhe 4 m). Gute Beleuchtung vorhanden. Außerdem bedfindet sich eine Tür mit Zugang zum Hof und eine weitere Tür mit Zugang in die Halle 1. Die Tiefe der Halle beträgt ca. 10m. Verfügbare Fläche 339 m². Das gesamte Grundstück hat eine Fläche von 9735 m². Davon sind 5435 m² mit Gebäuden und Hofflächen bebaut. Die anschließende Ackerfläche mit 4300 m² dient als Erweiterungsfläche. Auf dem Firmengelände befindet sich ein Einfahrtstor (mechanisch) sowie eine Schranke (elektrisch). Die Breite beträgt 8m. Auf der Rückseite des Firmengeländes befindet sich die Ausfahrt mit einem elektrischen Tor. Die Breite beträgt 4,5m. Das Gelände verfügt über 12 Pkw-Stellplätze. |
Wir weisen ausdrücklich darauf hin, dass vorstehende Informationen auf den Angaben des Anbieters beruhen und von uns nicht auf Plausibilität, Vollständigkeit und Richtigkeit überprüft wurden. Für den Inhalt der Angaben übernehmen wir keine Haftung!
